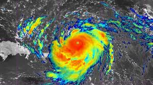
বর্তমান অবস্থা
জাতীয় হারিকেন কেন্দ্র (National Hurricane Center)-এর ১৭ আগস্ট রাতের আপডেটে জানানো হয়, হারিকেন এরিন ফের কেটাগরি ৪ অবস্থায় রয়েছে। এর স্থায়ী বাতাসের গতি ঘণ্টায় ১৩০ মাইল, আর ট্রপিকাল স্টর্ম শক্তির বাতাস প্রায় ২৩০ মাইল দূর পর্যন্ত বিস্তৃত। ঝড়টি উত্তর ক্যারোলিনার কেপ হ্যাটেরাস থেকে প্রায় এক হাজার মাইল দক্ষিণ-পূর্বে অবস্থান করছে।
অগ্রগতি ও বিপদ সংকেত
ঝড়টি আরও শক্তিশালী হয়ে উঠতে পারে এবং উত্তর-পশ্চিম দিকে অগ্রসর হওয়ার সঙ্গে সঙ্গে এর আকার দ্বিগুণ বা ত্রিগুণ পর্যন্ত হতে পারে। ফলে পশ্চিম আটলান্টিকের সমগ্র অঞ্চলে বিপজ্জনক ও অস্থির সমুদ্র পরিস্থিতি তৈরি হবে।
দ্রুত তীব্রতা বৃদ্ধি ও বৈশ্বিক উষ্ণায়নের প্রভাব
এরিন একটি বিরল কেটাগরি ৫ ঝড়ে পরিণত হয়েছিল, যদিও কিছু সময় পর তা শক্তি হারিয়ে রবিবারে বড় একটি সিস্টেমে পরিণত হয়।
শুক্রবার সকাল ১১টা (আগস্ট ১৫) থেকে মাত্র ২৪ ঘণ্টার মধ্যে এটি কেটাগরি ১ (৭৫ মাইল/ঘণ্টা) থেকে কেটাগরি ৫ (প্রায় ১৬০ মাইল/ঘণ্টা)-এ ওঠে। এটি আটলান্টিকের ইতিহাসে দ্রুততম শক্তিশালী হওয়া ঝড়গুলোর একটি। বিশেষ করে সেপ্টেম্বর ১-এর আগেই এত দ্রুত তীব্রতা বৃদ্ধি হওয়া বিরল ঘটনা হিসেবে ধরা হচ্ছে।
উল্লেখযোগ্যভাবে, এই ধরনের rapid intensification (২৪ ঘণ্টায় অন্তত ৩৫ মাইল/ঘণ্টা গতিবৃদ্ধি) সাধারণত সেপ্টেম্বরে দেখা যায়। তবে বৈশ্বিক উষ্ণায়নের কারণে এ ধরনের প্রবণতা আরও ঘন ঘন দেখা দিচ্ছে।
সম্ভাব্য প্রভাব ও সতর্কতা
এটি সরাসরি কোনো স্থলভাগে আঘাত হানার সম্ভাবনা নেই। এর পথে রয়েছে পুয়ের্তো রিকোর উত্তরের এলাকা, তারপর ঝড়টি উত্তর–উত্তর-পূর্ব দিকে বাঁক নিয়ে খোলা আটলান্টিকে চলে যাবে—ইস্ট কোস্ট ও বারমুডার মাঝামাঝি। এ সময় ঝড়ের আয়তন দ্বিগুণ বা তিনগুণ হতে পারে।
যদিও প্রধান ল্যান্ডফলের সম্ভাবনা নেই, তথাকথিত rip currents বা ঝড়ের প্রবল স্রোত সোমবার থেকে শুরু হয়ে সপ্তাহ শেষে উত্তর-পূর্ব উপকূলে বিপদ ডেকে আনতে পারে। যুক্তরাষ্ট্রে গত ১০ বছরে প্রায় ১২ শতাংশ মানুষ হারিকেন বা ট্রপিক্যাল ঝড়ে মারা গেছেন, যার অন্যতম প্রধান কারণ ছিল এই rip currents, বলে জানান বিশেষজ্ঞ কাসান্দ্রা মোরা।
নর্থ ক্যারোলিনার ডেয়ার কাউন্টিতে স্থানীয় জরুরি অবস্থা ঘোষণা করা হয়েছে। হ্যাটেরাস দ্বীপে বাধ্যতামূলক নিরাপদ সরিয়ে নেওয়ার নির্দেশ জারি করা হয়েছে।
উপকূলীয় প্লাবন এবং সমুদ্রের পানি ঢুকে আসা ১৯ আগস্ট মঙ্গলবার থেকে শুরু হতে পারে এবং ২১ আগস্ট পর্যন্ত চলতে পারে। এ সময় নর্থ ক্যারোলিনার হাইওয়ে ১২ কয়েক দিনের জন্য অচল হয়ে যেতে পারে।
প্রবল বৃষ্টিপাত ও বিদ্যুৎ সংযোগ বিচ্ছিন্নতা
এরিনের বাইরের বন্দর এলাকায় ইতিমধ্যে পুয়ের্তো রিকোতে প্রবল বৃষ্টিপাত শুরু হয়েছে। সোমবার পর্যন্ত অতিরিক্ত ২ থেকে ৪ ইঞ্চি বৃষ্টিপাত হতে পারে।
টার্কস অ্যান্ড কাইকোস এবং পূর্বের বাহামাস দ্বীপপুঞ্জে মঙ্গলবার পর্যন্ত ৬ ইঞ্চি পর্যন্ত বৃষ্টিপাত হতে পারে। এর ফলে আকস্মিক প্লাবন, ভূমিধস ও কাদামাটি স্লাইডের আশঙ্কা রয়েছে। এসব এলাকায় ট্রপিকাল স্টর্ম সতর্কতা জারি করা হয়েছে।
পুয়ের্তো রিকোতে এ কারণে প্রায় ১ লাখ মানুষ বিদ্যুৎহীন হয়ে পড়েছেন বলে জানান গভর্নর জেনিফার গনজালেজ-কলন।
জলবায়ু পরিবর্তন এবং ঝড়ের অস্বাভাবিক প্রবণতা
Rapid intensification বা ২৪ ঘণ্টায় ৩৫ মাইল/ঘণ্টা বৃদ্ধি—এ ধরনের ঘটনা শুধু এ বছর নয়, বরং রেকর্ড পরিমাণে দেখা দিয়েছে। এরিনের ক্ষেত্রে এটি সেপ্টেম্বর ১-এর আগেই হওয়া সবচেয়ে দ্রুত তীব্রতা বৃদ্ধি হিসেবে ধরা হচ্ছে।
এখন পর্যন্ত আটলান্টিকে মাত্র ৪৩টি কেটাগরি ৫ হারিকেন দেখা গেছে। এরিন সেই বিরল তালিকার একটি। তবে সাম্প্রতিক বছরগুলোতে এ সংখ্যা বেড়েছে। ২০১৬ সাল থেকে এরিনসহ ১১টি কেটাগরি ৫ ঝড় হয়েছে, যা খুবই বেশি।
অন্য একটি অস্বাভাবিক দিক হলো, মৌসুমের এত তাড়াতাড়ি—মধ্য আগস্টেই—এ ধরনের কেটাগরি ৫ ঝড় দেখা যাচ্ছে, বিশেষ করে গালফ অব মেক্সিকোর বাইরের অঞ্চলে।
২০২৫ সালের আটলান্টিক হারিকেন মৌসুমে এটি প্রথম বড় হারিকেন। এর আগে অ্যান্ড্রিয়া, ব্যারি, শ্যান্টাল এবং ডেক্সটার নামে চারটি সিস্টেম এসেছিল, কিন্তু কোনোটিই ট্রপিক্যাল স্টর্মের বেশি শক্তিশালী হয়নি।
সাধারণত প্রথম হারিকেন আগস্ট ১১-এর আশেপাশে দেখা যায়। তাই এরিন কিছুটা দেরিতে এসেছে। তবে গত মৌসুমে আগস্ট ১৫-এর মধ্যে তিনটি হারিকেন (বেরিল, ডেবি, আর্নেস্তো) হয়ে গিয়েছিল।
আগস্টের বাকি সময়েও আরও ট্রপিক্যাল সিস্টেম তৈরি হতে পারে। যুক্তরাষ্ট্রের ক্লাইমেট প্রেডিকশন সেন্টার জানিয়েছে, একই অঞ্চলে নতুন ঝড় গঠনের সম্ভাবনা রয়েছে আগস্টের শেষ ও সেপ্টেম্বরের শুরু পর্যন্ত।
মধ্য আগস্ট থেকে মধ্য অক্টোবর পর্যন্ত মৌসুমের সবচেয়ে ব্যস্ত সময়। এ বছরও গড়ের তুলনায় বেশি ট্রপিক্যাল কর্মকাণ্ড হওয়ার সম্ভাবনা রয়েছে।
হারিকেন এরিন: আটলান্টিকের ইতিহাসে দ্রুততম শক্তিশালী হওয়া ঝড়গুলোর একটি
-
সারাক্ষণ রিপোর্ট - ০৪:৩৯:৫১ অপরাহ্ন, মঙ্গলবার, ১৯ অগাস্ট ২০২৫
- 63
জনপ্রিয় সংবাদ

























